조황관리HOME / 조황관리 / 상세정보

제목 : 25.11.06일 대구 타이라바 조황입니다
등록일 : 2025-11-06

























































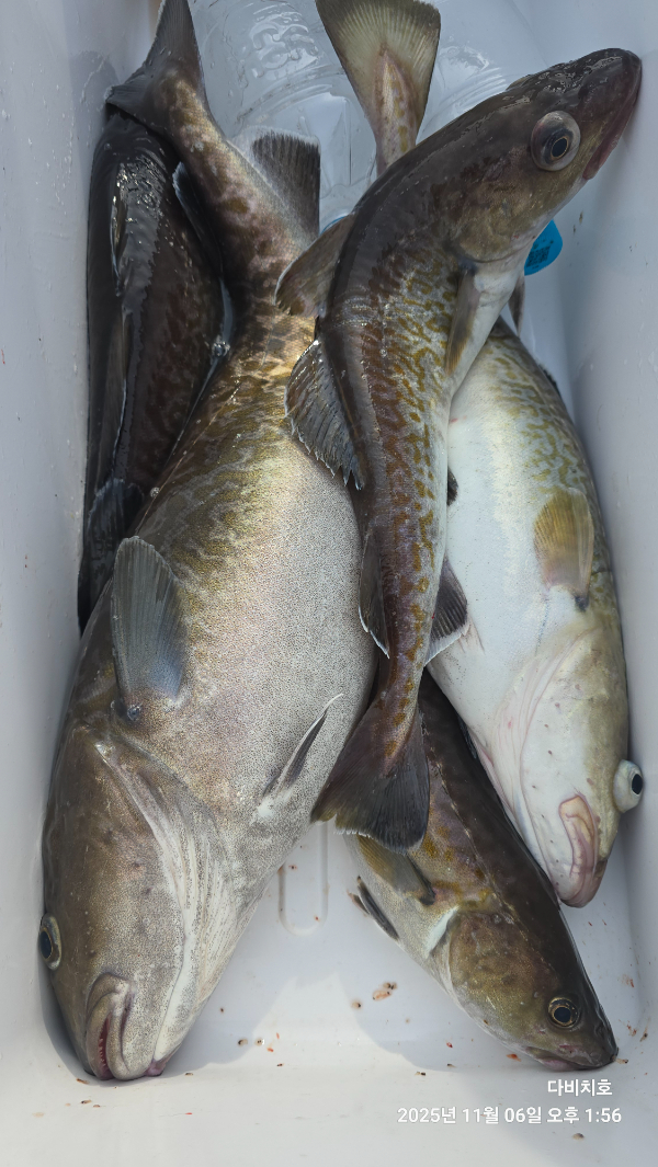
25.11.6일 대구타이라바 조황 입니다.
금일 아침2시간 피딩후 조류 멈추면서 12시 까지 낱마리 입질만  받다가 12시 이후 바람과 조류가 흐르면서 대구들 잘 나와 주었습니다.

오늘은 개인 만쿨 조사님들 여럿 계시네요!

오늘도 조사님들 모두 고생 많으셨습니다
감사합니다!



*** 고성 다비치호 예약 안내 ***


선장직통 : 010-3919-0071

예약문의 : 010-4894-7707
오시는길 : 강원 고성군 죽왕면 공현진리 공현진항
선사위치:벽화 그림 그려져있는 외항방파제 빨간등대 쪽으로
                끝자리 입니다.
홈페이지 : http://davichi.sunsang24.com/


모바일.jpg


Top