조황관리HOME / 조황관리 / 상세정보

제목 : 26.1.3일 어구가자미 조황 입니다
등록일 : 2026-01-03

























































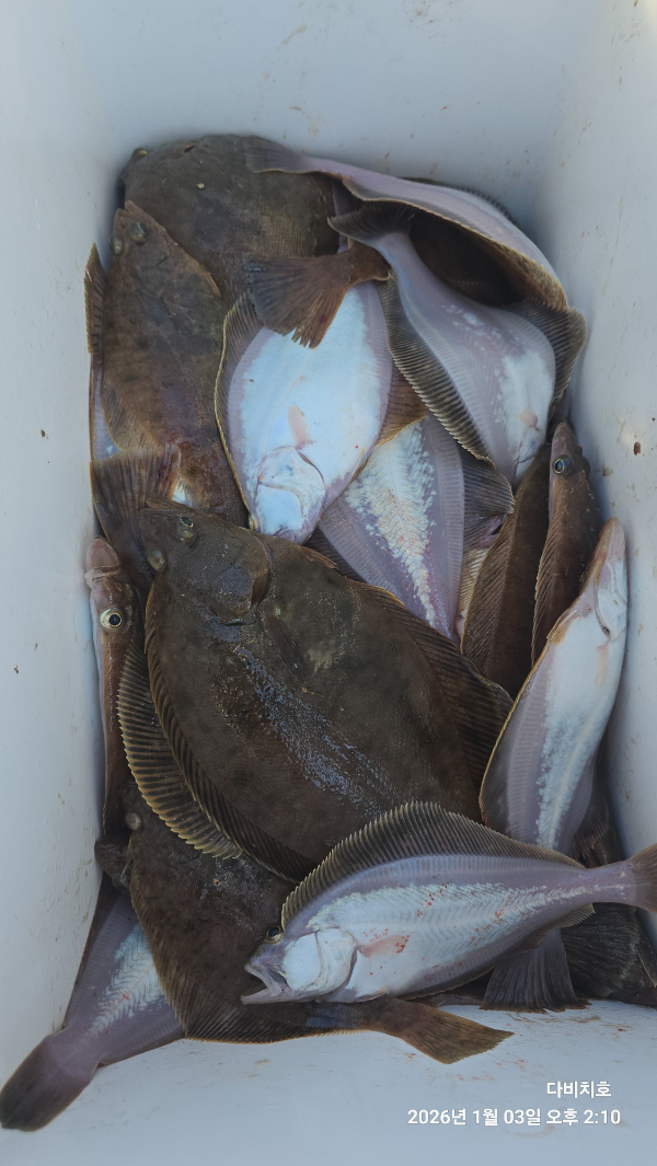
26.1.3일 어구가자미 조황 입니다.
금일 2026년 첫 조황기 올립니다!
지난25년에도 저희 다비치호를  찾아주신 조사님들 항상 감사드리며 2026년 새해에도 잘 부탁드립니다!
조사님들 모두 새해 복 많이 받으세요!
감사합니다!

오늘 어구가자미 조과는 오전 2~3마리씩 따문따문 입질이였고 오후 들어서면서 가자미들 줄타주면서 잘 나와 주었습니다.
오후에 나온 가자미들은 사이즈도 마리수도 너무 좋았습니다!

오늘도 찾아주신 조사님들 모두 고생 많으셨습니다!



*** 고성 다비치호 예약 안내 ***


선장직통 : 010-3919-0071

예약문의 : 010-4894-7707
오시는길 : 강원 고성군 죽왕면 공현진리 공현진항
선사위치:벽화 그림 그려져있는 외항방파제 빨간등대 쪽으로
                끝자리 입니다.
홈페이지 : http://davichi.sunsang24.com/


모바일.jpg


Top