조황관리HOME / 조황관리 / 상세정보

제목 : 26.2.11일 어구가자미 조황 입니다
등록일 : 2026-02-11







































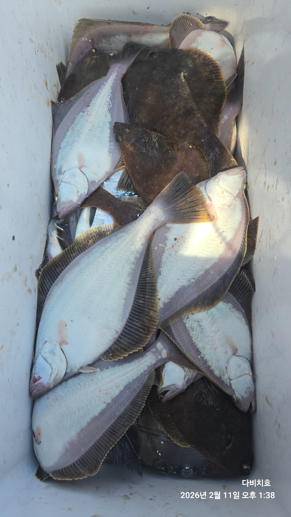
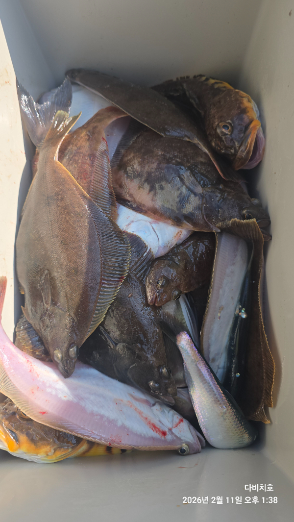
26.2.11일 어구가자미 조황 입니다 
금일 10시까지는 괜찮게 나왔습니다.
10시이후는 어쩌다 줄타 주고 거의 낱마리 입질 이였습니다.
입질 예민할땐 확실히 모리겐.모리텍 입질 좋네요.
모리겐 .모리텍 바늘 쓰시는걸 추천 드립니다.

오늘도 찾아주신 조사님들 모두 고생 많으셨습니다 
감사합니다




*** 고성 다비치호 예약 안내 ***


선장직통 : 010-3919-0071

예약문의 : 010-4894-7707
오시는길 : 강원 고성군 죽왕면 공현진리 공현진항
선사위치:벽화 그림 그려져있는 외항방파제 빨간등대 쪽으로
                끝자리 입니다.
홈페이지 : http://davichi.sunsang24.com/


모바일.jpg


Top